2月26日(木)
昨日の大雨で少し散ってしまったけれど、椿寒桜(雪割桜)が満開!

【元祖】竜串グラスボート船長
竜串の海の保護活動を40年以上続けてきた名物船長。竜串〜見残し間をグラスボートで案内しています。
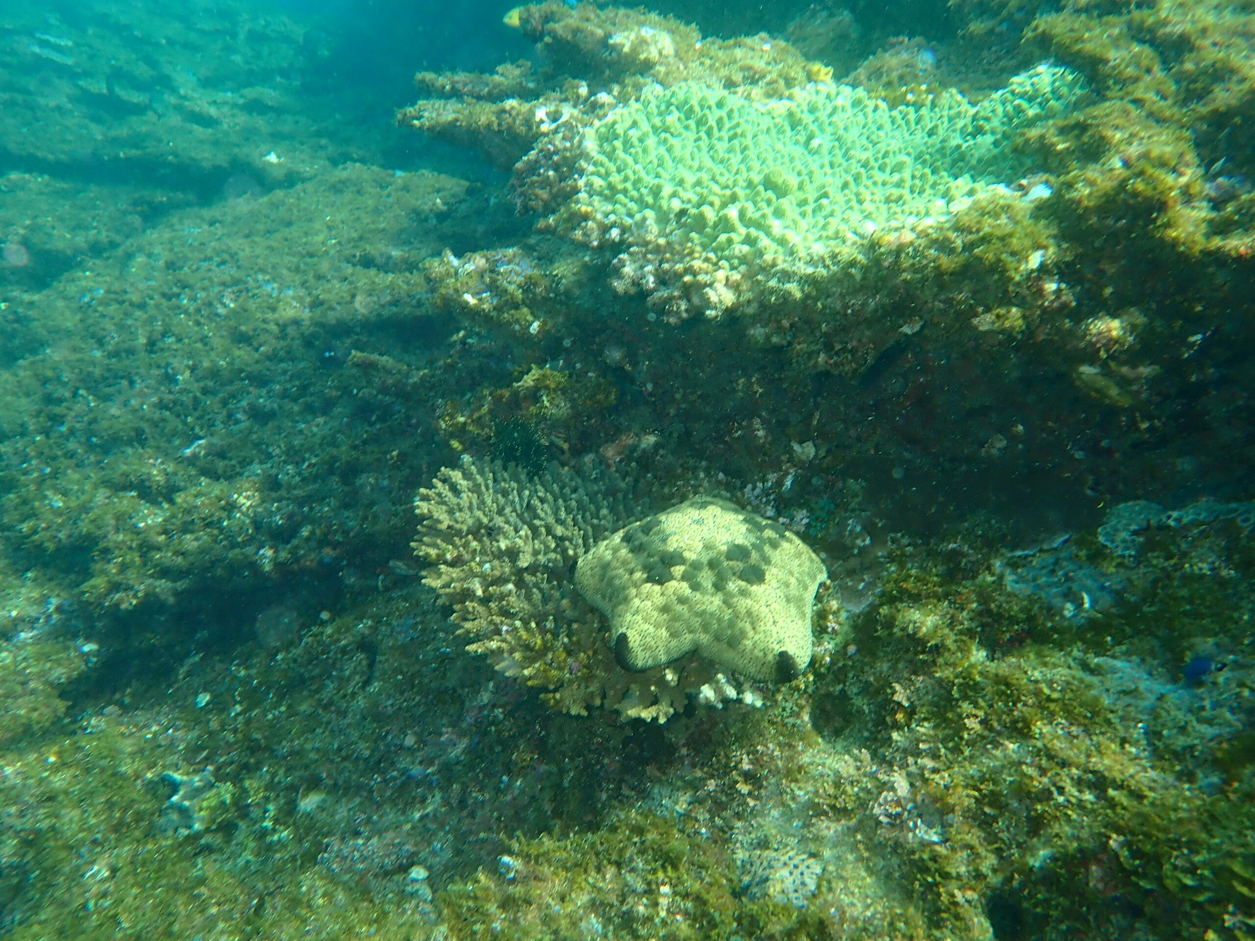
命育む巨大なマザーサンゴ、弘法大師がこの地を見残したと言われる見残し海岸の奇岩を、多くの方に楽しんでいただきたいです。
2026年04月17日(金曜日)の運航状況悪天候により欠航しています。
2026年04月17日(金曜日)の運航状況
悪天候により欠航しています。
2026年2月4日(立春)、朝は寒かったけれどお昼には暖かくなってきましたね。
マンジュウヒトデはオニヒトデ程サンゴを食べないので駆除対象には・・・という意見の方がいます。
『みんなの海を育てる会』(サンゴの保護活動組織)ではオニヒトデやヒメシロレイシガイダマシは駆除対象と
していますがマンジュウヒトデは入っていません。
しかし、ここ数年海域によっては、オニヒトデの数よりもマンジュウヒトデの数がはるかに増え
サンゴを食い荒らしている現実があります。
2024年夏の高水温による❝白化現象❞で浅い海域のサンゴ(2000年から数多くのボランティアダイバーに
よって移植され育ててきたサンゴ)は、そのほとんどが死んでしまいました。
激減したサンゴをこれ以上食べられてはたまりません。
マンジュウヒトデの特別採捕許可を取るべく、「みんなの海を育てる会」に提案し来年度は駆除対象としたいと
船長は思っています。
特別採捕許可というのは、捕らないといけないという事ではなく
捕ることが出来る・・・というものです。

